Inquire
Translator
English
Arabic
Chinese
Español
French
German
Hindi
Italiano
Japanese
Korean
Português
Russian
800-743-2959
Home
Search
All MLS listings
Price
Up To $100,000
$100,000 To $150,000
$150,000 To $200,000
$200,000 To $250,000
$250,000 To $300,000
$300,000 And Up
Surrounding Communities
Commercial Listings
Lots and Land
Listings
Listings
Open House
Sold Portfolio
Resources
What's my Home Worth?
Mortgage Calculators
Community Links
Why Choose Brookings
About Us
Meet the Agents
Client Experiences
Contact
Property Detail
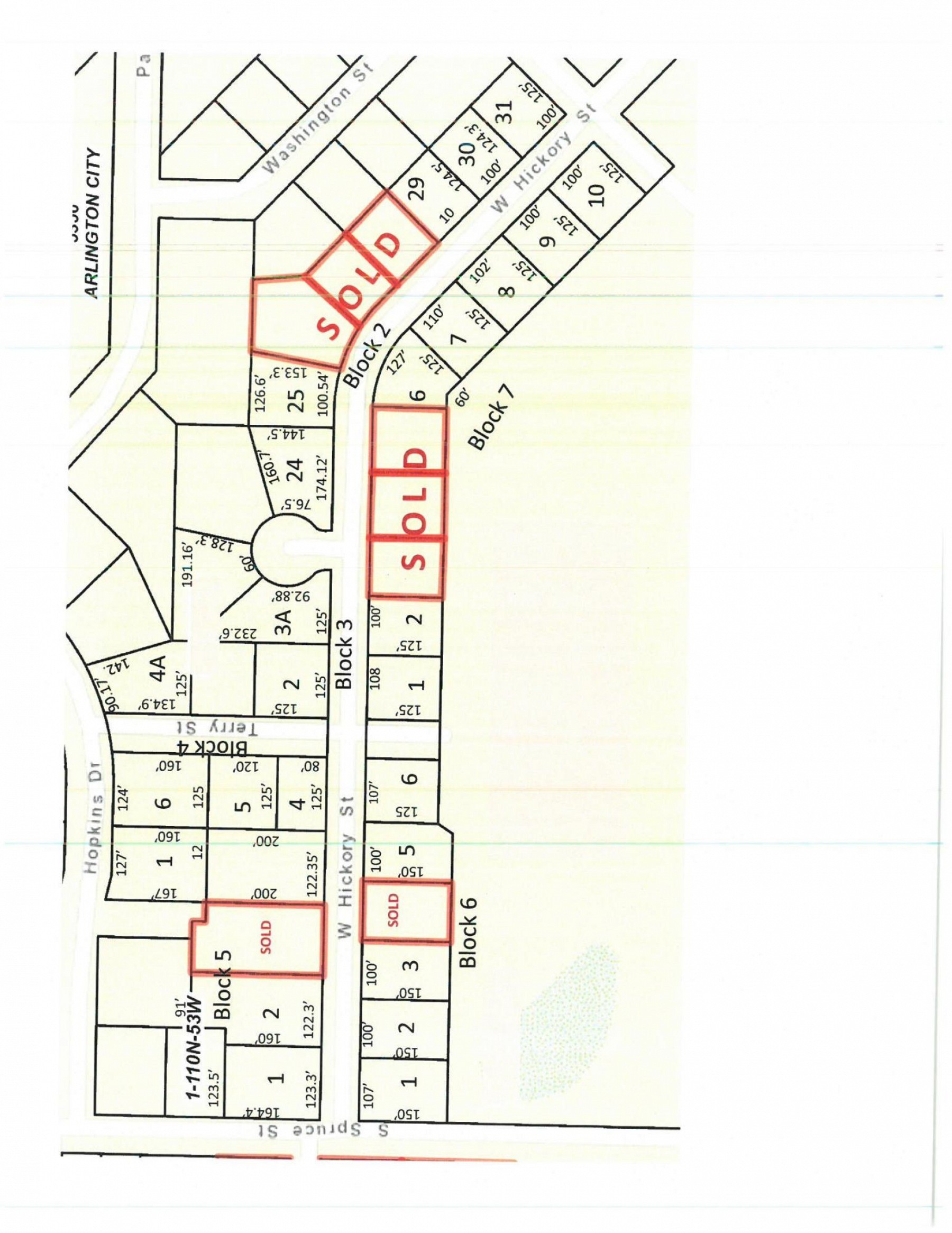
L9 B7 LotA Johnson's Addition,
Arlington, SD
$ 15,900
0
0
Description
<< Back to Listings
Great affordable lots in the City of Arlington!
Photos
MLS Info
Schools
Map
Additional Details
MLS#
: 18-600
Legal:
Room Name
Room Level
Length
Width
Area
Room Remarks
PROPERTY MAP
Google Map
What's Nearby
Points of interest
Accounting
Airport
Amusement park
Aquarium
Art Gallery
Atm
Bakery
Bank
Bar
Beauty Salon
Bicycle Store
Book Store
Bowling Alley
Bus Station
Cafe
Campground
Car Dealer
Car Rental
Car Repair
Car Wash
Casino
Cemetery
Church
City Hall
Clothing Store
Convenience Store
Courthouse
Dentist
Department Store
Doctor
Electrician
Electronics Store
Embassy
Establishment
Finance
Fire Station
Florist
Food
Funeral Home
Furniture Store
Gas Station
General Contractor
Grocery Or Supermarket
Gym
Hair Care
Hardware Store
Health
Hindu Temple
Home Goods Store
Hospital
Insurance Agency
Jewelry Store
Laundry
Lawyer
Library
Liquor Store
Local Government Office
Locksmith
Lodging
Meal Delivery
Meal Takeaway
Mosque
Movie Rental
Movie Theater
Moving Company
Museum
Night Club
Painter
Park
Parking
Pet Store
Pharmacy
Physiotherapist
Place Of Worship
Plumber
Police
Post Office
Real Estate Agency
Restaurant
Roofing Contractor
Rv Park
School
Shoe Store
Shopping Mall
Spa
Stadium
Storage
Store
Subway Station
Synagogue
Taxi Stand
Train Station
Travel Agency
University
Veterinary Care
Zoo
Schools
Listing Agent
Matt Krogman
605.695.1236
mattkrog@century21gka.com
INQUIRE THIS PROPERTY
Call us now or send us your information
FEATURED PROPERTIES
46885 Country Club Lane, Brookings, SD, 57006
$ 1,250,000
3005 Western Avenue S, Brookings, SD, 57006
$ 1,250,000
3707 Main Avenue S, Brookings, SD, 57006
$ 1,100,000
1623 Medary Avenue, Brookings, SD, 57006
$ 975,000
1623 Medary Avenue S, Brookings, SD, 57006
$ 969,900
×
Inquire Now
Submit
×
Inquire Now
Submit